Local Service Overview

Get Red Ant Extermination in Plano, TX

Red Ant Extermination services for property owners in Plano, TX, address pest infestations like ants, termites, and cockroaches through comprehensive treatment and prevention projects.

Plano, TX

Red ant extermination services are essential for property owners in Plano, TX seeking to maintain a safe and comfortable environment. Red ants can invade homes and landscapes, causing discomfort and potential structural damage. Professional extermination helps eliminate these pests efficiently, reducing the risk of future infestations and ensuring that outdoor and indoor spaces remain functional and enjoyable.

Choosing expert pest control providers offers benefits such as enhanced curb appeal and durability of property features. Effective ant management minimizes ongoing maintenance needs, preserving the integrity of landscaping and structures. Additionally, a pest-free environment contributes to overall safety and peace of mind, allowing property owners to enjoy their space without concern over pest-related issues.

Get Red Ant Extermination Quotes

  • Red Ant Extermination services are essential for property owners experiencing persistent ant infestations in residential or commercial spaces.
  • Red Ant Extermination is needed when ants invade outdoor areas like gardens or lawns around homes and businesses in nearby communities.
  • Red Ant Extermination services are sought after when ants threaten to damage plants, structures, or stored goods on a property.
  • Red Ant Extermination may be required after noticing ant trails or nests in indoor or outdoor areas of homes and commercial properties.
  • Red Ant Extermination is important for maintaining a pest-free environment in areas prone to ant activity, especially during warmer months.

Get Red Ant Extermination Quotes

Red Ant Extermination
Red Ant Extermination
Red Ant Extermination

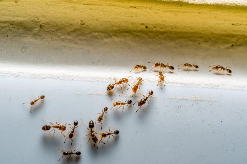
Red ant extermination services focus on identifying and eliminating red ant infestations in residential and commercial properties. These services typically involve thorough inspections to locate nesting sites and active colonies, followed by targeted treatment methods such as baiting, spraying, or dusting to eradicate the ants. Professionals may also implement preventative measures to reduce the likelihood of future invasions, ensuring that properties remain ant-free over time. The goal of these services is to address existing problems efficiently while minimizing disruption to the property’s occupants.

Red ants can cause various issues for property owners, including structural damage, especially when colonies establish in wooden structures or foundations. They can also pose health concerns, as their bites may cause allergic reactions or discomfort. In addition, red ants tend to invade kitchens, pantries, and outdoor living areas, contaminating food supplies and creating nuisance problems. Exterminators help mitigate these concerns by removing the colonies and implementing strategies to prevent re-infestation, providing peace of mind for residents and business owners alike.

Properties that often utilize red ant extermination services include single-family homes, apartment complexes, restaurants, and retail stores. Residential properties are commonly affected by outdoor colonies that find their way inside through cracks or gaps. Commercial establishments, especially those involved in food service, seek extermination services to maintain hygiene standards and comply with health regulations. Additionally, outdoor recreational areas, parks, and landscaped properties may also require professional intervention to control red ant populations and protect the environment.

Engaging with local pest control professionals for red ant extermination offers tailored solutions based on the specific property and infestation level. These experts are equipped to handle infestations of various sizes and complexities, using proven methods to effectively eliminate red ants. Property owners are encouraged to contact qualified service providers to assess their situation, explore treatment options, and develop a plan to manage and prevent future ant problems. Proper pest management helps maintain the safety, cleanliness, and comfort of both residential and commercial spaces.

The overview below groups typical Red Ant Extermination projects into broad ranges so you can see how smaller, mid-sized, and larger jobs often compare in Plano, TX.

In many markets, a large share of routine jobs stays in the lower and middle ranges, while only a smaller percentage of projects moves into the highest bands when the work is more complex or site conditions are harder than average.

Cost Range for Extermination - The typical cost for red ant extermination services in Plano, TX, varies from $150 to $300 per treatment. Larger infestations or multiple visits can increase expenses beyond this range.

Initial Inspection Fees - Some service providers may charge an inspection fee between $50 and $100 to assess the extent of the ant problem before treatment. This fee is often credited toward the total cost if treatment is scheduled.

Recurring Treatment Costs - Ongoing or quarterly treatments usually cost between $100 and $200 per visit, depending on the property size and severity of the infestation. Multiple visits may be recommended for complete eradication.

Additional Service Charges - Extra charges may apply for specialized treatments or inaccessible areas, typically adding $50 to $150 to the overall cost. These fees depend on the complexity of the treatment required.

Actual totals will depend on details like access to the work area, the scope of the project, and the materials selected, so use these as general starting points rather than exact figures.

Get a Red Ant Extermination Quote

Ant Extermination - Local pest control providers offer specialized services to eliminate ant infestations and prevent future issues in residential and commercial properties.

Termite Control - Service providers in the area provide termite inspection and treatment solutions to protect structures from costly damage caused by these pests.

Carpenter Ant Removal - Local pros utilize targeted methods to identify and remove carpenter ant colonies, safeguarding wood structures from deterioration.

Pavement Ant Extermination - Experts address pavement ant problems in outdoor spaces, ensuring thorough eradication and pest-free environments.

Fire Ant Management - Service providers implement treatment plans to control fire ant populations, reducing their impact on lawns and outdoor areas.

Indoor Pest Control - Local pest control companies offer comprehensive solutions for indoor ant issues, ensuring a pest-free living or working space.

Red Ant Extermination

When evaluating Red Ant Extermination services in the Plano, TX area, it’s important to consider the experience of local providers. Homeowners should look for professionals who have a history of handling ant infestations effectively, with a track record of successful treatments in the community. Gathering information about how long a provider has been operating and their familiarity with local pests can help ensure that the chosen service has the necessary expertise to address specific ant issues.

Clear communication and written expectations are crucial when working with pest control specialists. Reputable providers should be transparent about their methods, what homeowners can expect during and after treatment, and any necessary follow-up. Having detailed, written information helps set realistic expectations and ensures that homeowners are well-informed about the scope of work, potential outcomes, and any precautions to take.

Reputable references and strong reputation within the community are valuable indicators of quality service. Homeowners are encouraged to seek local reviews or ask providers for references from previous clients in the Plano area. Reliable providers typically maintain good relationships with their customers and can provide contacts who can speak to their professionalism and effectiveness. While the site introduces local options, it is important to note that it connects users with independent professionals and does not perform the extermination work directly.

Get a Red Ant Extermination Quote

Property owners in Plano, TX use Red Ant Extermination services for practical projects around their homes and businesses. The sections below highlight everyday jobs and straightforward project options.

Red Ant Extermination
Red Ant Extermination

Red ant extermination services are commonly sought by property owners in Plano, TX, dealing with persistent ant infestations that can disrupt daily activities. These pests often invade homes and businesses, especially during warmer months, creating nuisances and potential health concerns. Local service providers can help identify the source of the ant problem and implement targeted treatments to eliminate colonies and prevent future invasions.

Property owners may also seek red ant extermination when noticing increased ant activity around their property, such as trails or mounds in yards and gardens. Effective removal can help protect landscaping, prevent structural damage, and maintain a clean, pest-free environment. Connecting with local pest control professionals ensures that appropriate methods are used to address the specific ant issues faced in the Plano area.

Get a Red Ant Extermination Quote

What are red ants? Red ants are a common type of ant known for their reddish color and aggressive behavior. They often build nests outdoors but can invade indoor spaces. Their presence can be bothersome and sometimes pose a risk of bites. Local pest control providers can help manage red ant infestations.

How do pest control professionals eliminate red ants? Professionals use targeted treatments such as baits, insecticides, and barriers to eliminate red ant colonies. They identify nesting sites and apply appropriate methods to reduce or remove the infestation. Contact local pros for effective treatment options.

Are red ants dangerous? Red ants can bite and occasionally sting if provoked, which may cause discomfort. In some cases, bites can lead to allergic reactions. For safety, it's advisable to consult with pest control experts to handle infestations.

What are signs of a red ant infestation? Signs include visible ants crawling indoors or outdoors, ant trails, and small mounds or nests in soil or around structures. Detecting these signs early can help in addressing the problem promptly through professional services.

How can I prevent red ant infestations? Maintaining clean surroundings, sealing entry points, and removing food sources can help prevent red ants. For ongoing issues or severe infestations, connecting with local pest control providers is recommended.

Red Ant Extermination Solutions - Local pest control providers offer specialized services to eliminate red ants and prevent future infestations.

Inspection and Identification - Professionals can assess your property to identify ant activity and determine the extent of the infestation.

Targeted Treatment Options - Service providers utilize effective treatments tailored to eliminate red ants from residential and commercial properties.

Preventive Advice - Experts can offer recommendations to reduce attractants and help keep red ants from returning.

Red Ant Extermination

Considering Red Ant Extermination for a property in Plano, TX? The sections above highlight common project types, practical options, and details that often shape the scope of work.

When you are ready, use the quote form to share a few details about your project. Local pros can review the basics and respond with options that match what you have in mind.

Get a Red Ant Extermination Quote

Red Ant Extermination Quotes

Our Trusted Partners
Cantu Pest Control
Orkin
Hawx Pest Control