Local Service Overview

Get Red Ant Extermination in Melissa, TX

Red Ant Extermination services for property owners in Melissa, TX, typically cover pest control, termite treatment, rodent removal, and ongoing prevention projects.

Melissa, TX

Red Ant Extermination services provide property owners in Melissa, TX with effective solutions to manage and eliminate ant infestations. Addressing these pests helps maintain a comfortable living or working environment by preventing the nuisance and potential damage caused by ants. Proper extermination can also contribute to a safer property, reducing the risk of ants contaminating food or coming into contact with household items, which is especially important for households with children or pets.

Utilizing professional ant control services can enhance the overall functionality and appearance of a property by reducing pest activity that may compromise structural integrity or create unsightly conditions. Additionally, effective extermination helps minimize ongoing maintenance needs, saving property owners time and effort while protecting their investment and boosting curb appeal through a cleaner, pest-free exterior.

Get Red Ant Extermination Quotes

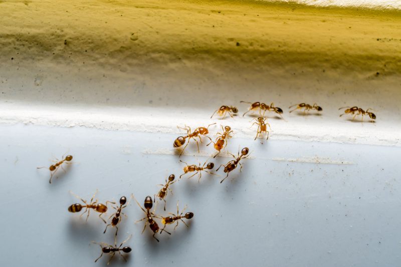
  • Red Ant Extermination - Needed when red ants invade homes or commercial properties in Melissa, TX and surrounding areas.
  • Red Ant Extermination - Required if red ant colonies threaten outdoor living spaces or landscaping.
  • Red Ant Extermination - Necessary when red ants are causing damage to structures or electrical equipment.
  • Red Ant Extermination - Sought after when red ant populations rapidly increase and become difficult to control.
  • Red Ant Extermination - Important if red ants are present in areas frequented by children or pets.

Get Red Ant Extermination Quotes

Red Ant Extermination
Red Ant Extermination
Red Ant Extermination

Red ant extermination services are designed to effectively eliminate red ants from residential and commercial properties. These services typically involve thorough inspections to identify ant colonies and entry points, followed by targeted treatments using specialized insecticides. The goal is to eradicate existing infestations and prevent future invasions, ensuring that properties remain ant-free. Professionals may also recommend ongoing monitoring or preventative measures to maintain a pest-free environment over time.

Red ants can pose significant problems for property owners, including damage to landscaping, contamination of food supplies, and general nuisance. Their presence can be particularly troublesome in kitchens, gardens, and outdoor living areas. In some cases, red ant bites can cause discomfort or allergic reactions in sensitive individuals. By addressing these issues promptly, extermination services help reduce the risk of property damage and health concerns associated with red ant activity.

Properties that commonly utilize red ant extermination services include single-family homes, apartment complexes, restaurants, and outdoor recreational areas. Residential properties often seek treatment to protect their gardens, patios, and indoor spaces from ant invasions. Commercial establishments, especially those involved in food service or hospitality, prioritize pest control to maintain hygiene standards and customer satisfaction. Outdoor venues and parks also benefit from regular pest management to keep outdoor spaces safe and enjoyable.

Professional red ant extermination services are tailored to meet the specific needs of each property. Service providers utilize a variety of treatment methods, such as baiting, dusting, and residual sprays, to target ants at different stages of their life cycle. These treatments are often applied in strategic locations around the property, including cracks, crevices, and entry points, to maximize effectiveness. Contacting local pest control experts ensures that property owners can access customized solutions designed to address their unique ant problems efficiently.

The overview below groups typical Red Ant Extermination projects into broad ranges so you can see how smaller, mid-sized, and larger jobs often compare in Melissa, TX.

In many markets, a large share of routine jobs stays in the lower and middle ranges, while only a smaller percentage of projects moves into the highest bands when the work is more complex or site conditions are harder than average.

Initial Inspection - The cost for a comprehensive inspection of a property typically ranges from $100 to $300, depending on the size and complexity. Larger or more heavily infested properties may incur higher fees. This fee often covers identifying pest entry points and nesting areas.

Pest Treatment - Treatment costs for red ants generally fall between $150 and $400 per service. The price varies based on the severity of the infestation and the treatment method used, with larger properties tending toward the higher end.

Follow-up Visits - Follow-up treatments or inspections usually cost between $75 and $200 each visit. These are recommended to ensure the ants are fully eradicated and to prevent future infestations.

Property Size Impact - Larger properties tend to have higher costs, often ranging from $200 to $600 for comprehensive services. Smaller homes or apartments may see costs closer to the lower end of the spectrum, around $100 to $250.

Actual totals will depend on details like access to the work area, the scope of the project, and the materials selected, so use these as general starting points rather than exact figures.

Get a Red Ant Extermination Quote

Ant Extermination - Local pest control providers offer specialized services to eliminate ant infestations in residential and commercial properties, ensuring effective removal and prevention.

Termite Control - Service providers in Melissa, TX, and nearby areas provide targeted treatments to address termite issues and protect structures from future damage.

Carpenter Ant Removal - Local pros offer solutions for identifying and removing carpenter ants that can cause structural damage to wood elements.

Fire Ant Management - Experts provide treatment options to reduce fire ant populations and minimize their impact on outdoor spaces and lawns.

Odorous House Ant Control - Service providers assist in eradicating odorous house ants that can invade kitchens and living areas, preventing recurring issues.

Sugar Ant Solutions - Local exterminators offer targeted approaches to control sugar ants, helping to maintain clean and pest-free indoor environments.

Red Ant Extermination

Red ant extermination services offered by local professionals vary in experience and approach. When evaluating options, it’s important to consider how long a contractor has been providing pest control solutions in the Melissa, TX area. Experienced providers often demonstrate familiarity with local ant behaviors and effective treatment methods, which can contribute to more reliable results. Additionally, reviewing a contractor’s history with red ant extermination can offer insights into their expertise and success rate, helping homeowners make informed decisions.

Clear communication and well-defined expectations are crucial when working with local pest control providers. Pros should be able to articulate their treatment plans, including the methods they use and the scope of work involved, ensuring homeowners understand what to expect. Reputable service providers often establish written expectations that outline the process, potential follow-up treatments, and any preparatory steps needed, fostering transparency and trust throughout the extermination process.

References and reputation play a significant role in selecting a pest control contractor. Homeowners might seek out local pros with positive references from previous clients, which can serve as indicators of consistent quality and professionalism. Reputable providers are typically known within the community for their reliability and customer service, making it easier for homeowners to verify their credibility. Effective communication, along with a solid reputation and clear expectations, helps ensure a smooth and satisfactory experience when addressing red ant issues.

Get a Red Ant Extermination Quote

Property owners in Melissa, TX use Red Ant Extermination services for practical projects around their homes and businesses. The sections below highlight everyday jobs and straightforward project options.

Red Ant Extermination
Red Ant Extermination

Red ant extermination services are often sought by property owners in Melissa, TX, facing persistent ant problems that disrupt daily life. These insects can invade kitchens, basements, and outdoor spaces, creating nuisances and potential health concerns. Local service providers can help identify the source of ant infestations and implement targeted treatments to eliminate colonies effectively, helping residents restore comfort and safety in their homes and yards.

Homeowners and property managers in Melissa may also seek red ant extermination when planning outdoor activities or preparing for seasonal changes. Ant colonies can quickly become established in lawns, flower beds, and around foundations, potentially leading to larger infestations if left unmanaged. Local professionals offer solutions designed to control and prevent future outbreaks, supporting property owners in maintaining pest-free environments throughout the year.

Get a Red Ant Extermination Quote

How do I know if I have a red ant infestation? Signs of a red ant infestation include visible ant trails, small mounds of soil, and ants entering your home or building.

What methods do extermination services use to eliminate red ants? Local service providers typically use targeted treatments such as baiting, perimeter sprays, and dust applications to control red ant populations.

Are red ants dangerous to humans and pets? Red ants can bite and sting, causing discomfort and allergic reactions in some individuals. It's advisable to seek professional removal if an infestation is present.

How long does a typical red ant extermination treatment take? Treatment durations vary, but professional services generally aim to address infestations efficiently, often within a single visit.

Will I need ongoing treatments for red ant control? Depending on the severity of the infestation and environmental factors, some situations may require follow-up treatments to ensure complete eradication.

Red Ant Extermination Services - Local pest control providers can assess infested areas and develop targeted treatment plans to eliminate red ants effectively.

Red Ant Extermination Solutions - Professionals use specialized products and techniques to remove red ant colonies and prevent future invasions.

Red Ant Control Options - Service providers offer ongoing monitoring and treatment options to maintain ant-free environments around homes and businesses.

Red Ant Extermination Experts - Contact local specialists to identify red ant activity and recommend the most appropriate removal methods for your property.

Red Ant Extermination

Considering Red Ant Extermination for a property in Melissa, TX? The sections above highlight common project types, practical options, and details that often shape the scope of work.

When you are ready, use the quote form to share a few details about your project. Local pros can review the basics and respond with options that match what you have in mind.

Get a Red Ant Extermination Quote

Red Ant Extermination Quotes

Our Trusted Partners
Cantu Pest Control
Orkin
Hawx Pest Control