Local Service Overview

Get Ants Extermination Service in Princeton, TX

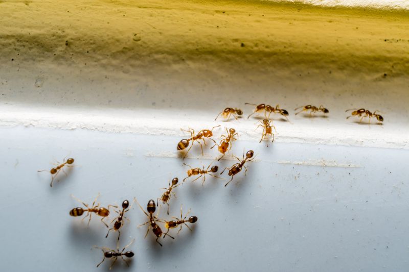
Ants extermination services for property owners in Princeton, TX, and nearby areas address ant infestations, prevent future invasions, and handle residential and commercial pest control projects.

Princeton, TX

Ants extermination services in Princeton, TX are essential for property owners seeking to maintain a comfortable and safe living environment. Ant infestations can disrupt daily routines, damage structures, and pose health concerns, making professional removal a practical choice. Skilled service providers focus on eliminating colonies effectively, helping to reduce the likelihood of future invasions and ensuring that homes and businesses remain functional and secure.

Choosing expert ant extermination also offers benefits related to curb appeal and durability. Proper treatment can prevent unsightly ant trails and nests from detracting from a property's appearance, while also minimizing ongoing maintenance needs. By addressing infestations promptly and thoroughly, property owners can enjoy a more inviting and well-maintained space that retains its value over time.

Get Ants Extermination Service Quotes

  • Ants Extermination Services are needed when homeowners notice ant trails or signs of an infestation in their residence or business.
  • These services are essential for properties experiencing recurring ant problems despite previous treatments.
  • Ant extermination may be required when ants invade kitchens, dining areas, or other spaces where food is stored or prepared.
  • Commercial properties in Princeton, TX, and nearby areas seeking to prevent ant colonies from damaging their inventory can benefit from professional extermination.
  • Ant control services are also sought after during seasonal increases in ant activity or when new ant colonies are suspected nearby.

Get Ants Extermination Service Quotes

Ants Extermination Service
Ants Extermination Service
Ants Extermination Service

Ants extermination services involve professional methods to identify, eliminate, and prevent ant infestations within residential, commercial, or industrial properties. Technicians typically conduct thorough inspections to determine the species of ants and locate their nests or entry points. Treatment options may include the application of targeted insecticides, baiting systems, and barrier treatments designed to reduce ant populations effectively. The goal is to address the root causes of the infestation and establish long-term control to minimize the likelihood of future invasions.

These services help solve common problems associated with ant infestations, such as property damage, contamination of food supplies, and overall nuisance. Certain ant species, like carpenter ants, can cause structural damage by burrowing into wood, while others, such as odorous house ants, can quickly invade kitchens and pantries. Ants can also be a source of frustration for homeowners and business owners, especially when their presence becomes persistent or widespread. Professional extermination ensures that infestations are managed safely and efficiently, reducing the risk of recurring issues.

Properties that typically utilize ant extermination services include single-family homes, apartment complexes, restaurants, grocery stores, and office buildings. Residential properties often seek treatment when ants are seen in kitchens or around foundations, while commercial establishments may require ongoing pest management to meet health and safety standards. Warehouses and food processing facilities are also common sites for ant control, as maintaining a pest-free environment is critical for hygiene and compliance. Regardless of the property type, a tailored approach by experienced service providers can effectively address specific ant problems.

Engaging with local pest control professionals for ant extermination services provides access to customized solutions suited to each property’s unique needs. These experts assess the extent of the infestation, identify potential entry points, and recommend appropriate treatment strategies. Regular inspections and preventative measures can help maintain a pest-free environment over time. By working with experienced service providers, property owners and managers can effectively manage ant issues and protect their spaces from future invasions.

The overview below groups typical Ants Extermination Service projects into broad ranges so you can see how smaller, mid-sized, and larger jobs often compare in Princeton, TX.

In many markets, a large share of routine jobs stays in the lower and middle ranges, while only a smaller percentage of projects moves into the highest bands when the work is more complex or site conditions are harder than average.

Initial Inspection - Typically costs between $50 and $150 for a professional assessment of ant activity and entry points. The fee may vary based on property size and complexity. This service helps determine the extent of the infestation.

Basic Treatment - The average cost ranges from $100 to $300 for standard ant extermination in residential properties. Prices depend on the severity of the infestation and the treatment method used. Additional treatments may be required for ongoing control.

Comprehensive Pest Control - Full-service ant extermination packages generally cost between $200 and $600. These often include multiple visits, baiting, and barrier treatments to ensure long-term control. Larger or more infested properties may incur higher fees.

Preventive Treatments - Preventive services typically range from $75 to $250 per application. These treatments focus on perimeter barriers and ongoing monitoring to reduce future ant activity. The cost varies based on property size and treatment frequency.

Actual totals will depend on details like access to the work area, the scope of the project, and the materials selected, so use these as general starting points rather than exact figures.

Get an Ants Extermination Service Quote

Ants Extermination - Local pest control providers offer services to eliminate ant colonies and prevent future infestations in residential and commercial properties.

Ant Control for Homes - Specialists focus on identifying and treating ant entry points within homes to reduce indoor ant activity effectively.

Commercial Ant Extermination - Commercial pest control services address ant problems in business settings to maintain a pest-free environment.

Outdoor Ant Treatment - Service providers apply treatments around the property perimeter to control outdoor ant populations and protect structures.

Eco-Friendly Ant Removal - Some providers utilize environmentally conscious methods to manage ant infestations while minimizing chemical use.

Ant Inspection Services - Professionals conduct thorough inspections to locate ant nests and recommend targeted treatment plans.

Ants Extermination Service

When choosing an ant extermination service, it’s important to consider the experience of the local professionals. Established providers often have a history of handling various ant infestations, which can translate into more effective solutions. Homeowners are encouraged to review the background of potential service providers, focusing on how long they have been operating in the Princeton, TX area and their familiarity with common ant species. This experience can be a helpful indicator of their ability to address specific pest issues efficiently.

Clear and written expectations are essential for a smooth service experience. Reputable local pros typically provide detailed descriptions of their treatment methods, what homeowners can expect during and after the service, and any necessary follow-up steps. Having this information in writing helps ensure transparency and allows homeowners to make informed decisions. It’s advisable to request this documentation early in the process to clarify the scope of work and avoid misunderstandings.

Reputation and communication are key factors when selecting an ant extermination provider. Trusted service providers often have references from previous clients or positive reviews that can be verified through local sources. Good communication involves prompt, clear responses to inquiries and a willingness to address questions or concerns. Homeowners should prioritize professionals who demonstrate professionalism and openness, as these qualities contribute to a more satisfactory service experience when dealing with pest issues.

Get an Ants Extermination Service Quote

Property owners in Princeton, TX use Ants Extermination Service services for practical projects around their homes and businesses. The sections below highlight everyday jobs and straightforward project options.

Ants Extermination Service
Ants Extermination Service

Ants extermination services are commonly sought by property owners in Princeton, TX, facing persistent ant infestations in residential or commercial spaces. These services are often needed when ants invade kitchens, bathrooms, or other areas where food is stored or prepared, creating concerns about hygiene and property damage. Local professionals can provide targeted solutions to eliminate ant colonies and prevent future invasions, helping property owners maintain a clean and pest-free environment.

In addition to immediate elimination, property owners may seek ant extermination to address recurring issues that disrupt daily life or business operations. Common reasons include noticing ant trails or nests indoors, especially during warmer months when ants are more active. Local service providers can assess the extent of the problem and recommend appropriate treatments to control and manage ant populations effectively.

Get an Ants Extermination Service Quote

How do ant extermination services work? Ant extermination services typically involve a professional assessment to identify ant species and entry points, followed by targeted treatment methods such as baits or sprays to eliminate colonies and prevent future infestations.

Are ant treatments safe for pets and children? Most ant extermination treatments are designed to be safe when applied by professionals, but it's advisable to follow specific safety instructions provided by the service provider to ensure safety for pets and children.

How long does an ant extermination treatment usually last? The duration of effectiveness varies depending on the treatment method and severity of the infestation, but professionals can provide guidance on maintenance or follow-up treatments if needed.

Can ant extermination services prevent future infestations? Yes, professional ant exterminators can identify potential entry points and recommend measures to help prevent future ant problems in the treated area.

How do I know if I have an ant infestation? Signs of an ant infestation include visible ants indoors or outdoors, ant trails, and the presence of nests or ant activity near food sources or entry points.

Ants Extermination Solutions - Local service providers offer targeted treatments to eliminate ant colonies and prevent future infestations.

Inspection and Identification - Professionals can assess property conditions to identify ant entry points and nesting areas.

Preventive Strategies - Experts recommend sealing cracks and removing attractants to reduce the likelihood of ant problems recurring.

Ongoing Pest Management - Regular inspections and treatments help maintain ant-free environments in residential and commercial spaces.

Ants Extermination Service

Considering Ants Extermination Service for a property in Princeton, TX? The sections above highlight common project types, practical options, and details that often shape the scope of work.

When you are ready, use the quote form to share a few details about your project. Local pros can review the basics and respond with options that match what you have in mind.

Get an Ants Extermination Service Quote

Ants Extermination Quotes

Our Trusted Partners
Cantu Pest Control
Orkin
Hawx Pest Control