Local Service Overview

Get Ants Extermination Service in Collin County, TX

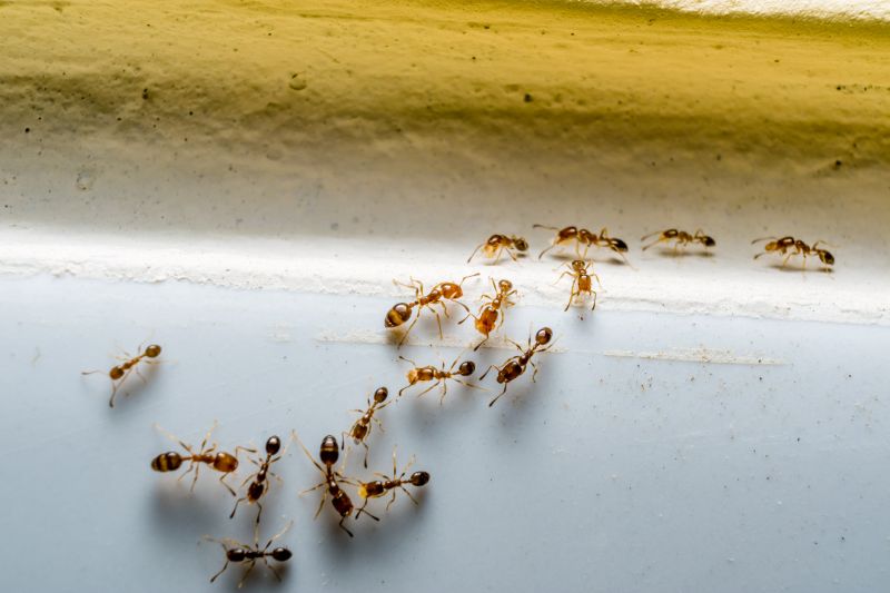
Ants extermination services for property owners in Collin County, TX, and nearby areas address ant infestations, prevent future invasions, and handle residential and commercial pest control projects.

Collin County, TX

Ants extermination services are essential for property owners in Collin County, TX who seek to maintain a comfortable and functional living or working environment. Infestations can disrupt daily routines, damage structures, and compromise hygiene, making professional extermination a practical solution to eliminate these pests effectively. By addressing ant problems promptly, property owners can enjoy peace of mind, knowing that their spaces are protected from potential damage and contamination.

Engaging with local pest control providers offers several benefits, including enhanced safety, improved durability of structures, and reduced ongoing maintenance. Proper extermination helps preserve the integrity of buildings, prevents future infestations, and boosts curb appeal by maintaining a clean, pest-free appearance. These services support property owners in creating a safe, attractive, and hassle-free environment in Collin County communities.

Get Ants Extermination Service Quotes

  • Ants Extermination - needed when ants invade kitchens, pantries, or other indoor spaces in residential or commercial properties.
  • Ants Extermination - required when outdoor ant colonies threaten to spread into homes or gardens in nearby neighborhoods.
  • Ants Extermination - necessary when persistent ant activity persists despite initial efforts, indicating a large or hidden colony.
  • Ants Extermination - sought after when seasonal ant infestations occur, especially during warmer months in local areas.
  • Ants Extermination - essential when ants are damaging plants or structures, prompting professional intervention to eliminate the problem.

Get Ants Extermination Service Quotes

Ants Extermination Service
Ants Extermination Service
Ants Extermination Service

Ants extermination services involve identifying and eliminating ant infestations within residential, commercial, or industrial properties. Professional pest control providers typically conduct thorough inspections to determine the species and extent of the ant problem. Treatment methods may include the application of targeted baits, insecticides, or barriers designed to eradicate colonies and prevent future invasions. The goal is to reduce ant activity effectively while minimizing disruption to the property’s occupants and environment.

Ant infestations can cause a variety of issues for property owners. Beyond the nuisance of constant ant activity, certain species can damage structures or contaminate food supplies. For example, carpenter ants are known to weaken wooden components, leading to costly repairs. Additionally, some ants may pose health concerns, especially if they invade kitchens or food storage areas. Professional extermination services help address these problems by implementing comprehensive treatment plans that aim to eliminate the source of the infestation and prevent recurrence.

These services are commonly utilized across a range of property types. Residential homes often seek ant extermination to maintain comfort and hygiene, especially in kitchens and basements. Commercial properties, including restaurants, grocery stores, and warehouses, require pest control to ensure food safety and compliance with health regulations. Industrial facilities may also need specialized treatments to manage large-scale infestations that could disrupt operations. In all cases, local pest control providers tailor their approaches to suit the specific needs and conditions of each property type.

Partnering with local pest control professionals for ant extermination offers a practical solution to persistent ant problems. These experts bring experience in handling different species and infestation levels, providing targeted treatments that address the root cause of the issue. Property owners are encouraged to contact local service providers to discuss their specific needs and determine the most effective strategies to eliminate ants and safeguard their properties from future invasions.

The overview below groups typical Ants Extermination Service projects into broad ranges so you can see how smaller, mid-sized, and larger jobs often compare in Collin County, TX.

In many markets, a large share of routine jobs stays in the lower and middle ranges, while only a smaller percentage of projects moves into the highest bands when the work is more complex or site conditions are harder than average.

Initial Inspection - The cost for an ant inspection typically ranges from $50 to $150, depending on the property's size and complexity. This fee covers identifying ant species and locating nests within residential or commercial spaces.

Perimeter Treatment - Applying a perimeter barrier treatment generally costs between $100 and $300. The price varies based on the property’s size, with larger areas requiring more product and labor.

Spot Treatments - Spot treatments for specific ant colonies usually fall within the $75 to $200 range per application. These treatments target visible nests and high-activity areas for quick control.

Ongoing Maintenance - Regular follow-up treatments may cost between $50 and $150 per visit. The frequency of visits depends on the severity of the infestation and the advice of local service providers.

Actual totals will depend on details like access to the work area, the scope of the project, and the materials selected, so use these as general starting points rather than exact figures.

Get an Ants Extermination Service Quote

Ants Extermination services connect homeowners with local pest control providers specializing in ant removal and prevention. These services help address ant infestations in residential and commercial properties throughout Collin County, TX. Professionals use targeted methods to eliminate existing colonies and reduce future ant activity.

Ants Inspection and Identification services assist in determining the type of ant species present and the extent of the infestation. Local pros provide expert assessments to develop effective treatment plans tailored to specific ant problems.

Ants Prevention Consulting services offer advice on measures to prevent future ant invasions. Service providers recommend structural adjustments and sanitation practices to minimize attractants for ants.

Ants Baiting and Trapping services involve deploying bait stations and traps to control ant populations. These methods are used by local specialists to target colonies efficiently and reduce chemical usage.

Ants Barrier Treatments services include applying residual insecticides around property perimeters. Local pest control providers establish protective barriers to deter ants from entering buildings.

Ants Emergency Response services are available for urgent ant infestations requiring immediate attention. Local pros respond promptly to help manage sudden or severe ant problems effectively.

Ants Extermination Service

When evaluating ant extermination services, experience is an important factor to consider. Local professionals often have extensive knowledge of ant behaviors and common infestation patterns specific to areas like Collin County, TX. It can be helpful to review how long a service provider has been operating in the community and their familiarity with local pest issues. Reputable references or reviews from previous clients can also provide insight into their reliability and effectiveness, helping homeowners gauge the quality of service.

Clear communication and written expectations are essential when working with pest control providers. Homeowners should seek professionals who offer detailed explanations of their treatment methods, what to expect during and after the service, and any necessary follow-up actions. A transparent approach to service plans and pricing helps establish trust and ensures that homeowners have a clear understanding of the process before work begins.

Reputable local pros are often distinguished by their reputation within the community and their ability to provide references or testimonials from satisfied clients. Reliable communication from the service provider, including prompt responses to inquiries and clarity in scheduling, can contribute to a smoother experience. Since the information below introduces local options rather than performing the work, homeowners are encouraged to contact multiple providers to compare their experience, communication style, and references to find a pest control partner that aligns with their needs.

Get an Ants Extermination Service Quote

Property owners in Collin County, TX use Ants Extermination Service services for practical projects around their homes and businesses. The sections below highlight everyday jobs and straightforward project options.

Ants Extermination Service
Ants Extermination Service

Ants extermination services are commonly sought after by property owners in Collin County, TX, who encounter ant infestations in residential or commercial spaces. These situations often arise when ants invade kitchens, pantry areas, or outdoor structures, creating nuisance and potential contamination concerns. Property owners may look for professional assistance to effectively eliminate the ants and prevent future re-infestations, especially when DIY methods prove ineffective or temporary.

In addition, property owners may pursue ant extermination services to address ongoing pest issues that impact the comfort and hygiene of their spaces. Common reasons include noticing ant trails, increased activity during warmer months, or signs of ant colonies near foundations or landscaping. Engaging local pest control providers can help manage these issues efficiently, ensuring the property remains ant-free and reducing the risk of larger infestations developing.

Get an Ants Extermination Service Quote

How do ant extermination services work? Ant extermination services typically involve identifying ant species, locating nests, and applying targeted treatments to eliminate colonies and prevent future infestations.

Are ant extermination treatments safe for pets and children? Most professional ant treatments are designed to be safe when used as directed, but it’s recommended to discuss safety concerns with the service provider.

How long does an ant extermination treatment usually take? The duration of treatment varies depending on the extent of the infestation, but most services can be completed within a few hours.

Will I need multiple treatments to control an ant problem? Some ant infestations may require multiple treatments to fully eliminate all colonies and prevent recurrence.

How can I prevent future ant infestations? Preventative measures include sealing entry points, maintaining clean surroundings, and consulting with local pros for ongoing pest management strategies.

Ants Prevention Tips - Learn strategies to reduce ant attractants around your property and prevent infestations before they start.

Inspection Services - Schedule inspections with local pros to identify ant entry points and nesting sites for targeted treatment.

Extermination Solutions - Connect with specialists who offer effective ant extermination methods tailored to your specific situation.

Ongoing Monitoring - Find providers that offer regular monitoring to ensure ants do not return after initial treatment.

Ants Extermination Service

Considering Ants Extermination Service for a property in Collin County, TX? The sections above highlight common project types, practical options, and details that often shape the scope of work.

When you are ready, use the quote form to share a few details about your project. Local pros can review the basics and respond with options that match what you have in mind.

Get an Ants Extermination Service Quote

Ants Extermination Quotes

Our Trusted Partners
Cantu Pest Control
Orkin
Hawx Pest Control