Local Service Overview

Get Ants Extermination Service in Anna, TX

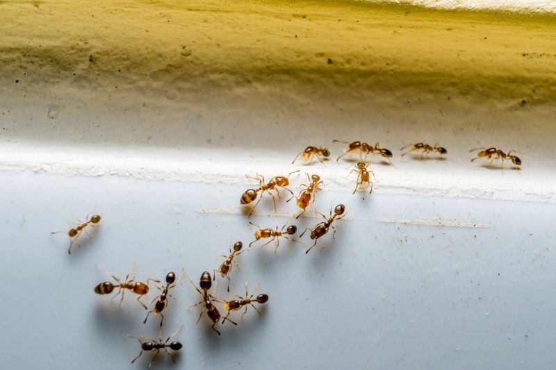
Ants extermination services for property owners in Anna, TX, and nearby areas address ant infestations, prevent future invasions, and handle residential and commercial pest control projects.

Anna, TX

Ants extermination services in Anna, TX provide property owners with an effective solution to manage and eliminate ant infestations. By addressing these pests, property owners can enjoy greater comfort and peace of mind, knowing their living or working spaces are free from unwanted intruders that can disrupt daily activities. Professional extermination helps maintain the functionality of a property by preventing damage to structures, wiring, and stored goods caused by ant activity, ultimately preserving the property's durability and appearance.

Choosing expert ant control also offers benefits such as reduced ongoing maintenance and enhanced curb appeal. Eliminating ants early prevents the buildup of nests and colonies that can be difficult to eradicate over time, leading to less frequent pest-related issues. Additionally, a pest-free exterior and interior contribute to a cleaner, more inviting environment, boosting the overall attractiveness of the property. Engaging local service providers ensures tailored solutions that address specific needs, promoting a safer and more enjoyable space for residents and visitors alike.

Get Ants Extermination Service Quotes

  • Ants Extermination - Residents experiencing persistent ant infestations in their homes or businesses may need professional extermination services.
  • Ants Extermination - Property owners dealing with ant colonies around their foundations or outdoor areas can seek local pest control providers.
  • Ants Extermination - Commercial establishments facing ant problems that threaten hygiene or customer experience should consider expert pest management.
  • Ants Extermination - Homes with visible ant trails or nests in kitchens, basements, or walls might require targeted treatment from local specialists.
  • Ants Extermination - Areas with recurring ant issues due to nearby landscaping or wooded surroundings can benefit from professional pest control solutions.

Get Ants Extermination Service Quotes

Ants Extermination Service
Ants Extermination Service
Ants Extermination Service

Ants extermination services involve identifying and eliminating ant infestations within residential or commercial properties. Trained service providers typically conduct thorough inspections to determine the extent of the problem and locate ant nests. Treatment methods may include the application of targeted insecticides, baiting systems, or other pest control solutions designed to effectively eradicate ants and prevent future invasions. These services aim to address the root causes of ant activity, helping to restore a pest-free environment.

Ant infestations can cause various issues, including property damage, contamination of food supplies, and general nuisance. Certain ant species, such as carpenter ants, are known to damage wooden structures, potentially leading to costly repairs if left unaddressed. Additionally, ants can be persistent and difficult to eliminate without professional intervention, especially when they establish colonies deep within walls or underground. Extermination services help resolve these problems by removing the pests and implementing measures to reduce the likelihood of recurrence.

Properties that commonly utilize ants extermination services include single-family homes, apartment complexes, restaurants, and retail stores. Residential properties often seek pest control to protect their living spaces and food storage areas, while commercial establishments may require ongoing pest management to maintain hygiene standards and comply with health regulations. Warehouses and food production facilities are also frequent clients, as they need to prevent contamination and pest-related damage to inventory. The goal is to create a pest-free environment that supports the safety and comfort of occupants and visitors.

Professional ant extermination services are tailored to meet the specific needs of each property type and infestation severity. Service providers may offer one-time treatments or recurring pest management plans depending on the situation. They utilize various techniques and products suited for different environments, ensuring effective and targeted control. Contacting local pest control specialists can help property owners and managers address ant problems promptly and efficiently, maintaining a clean and pest-free space.

The overview below groups typical Ants Extermination Service projects into broad ranges so you can see how smaller, mid-sized, and larger jobs often compare in Anna, TX.

In many markets, a large share of routine jobs stays in the lower and middle ranges, while only a smaller percentage of projects moves into the highest bands when the work is more complex or site conditions are harder than average.

Initial Inspection - The cost for an ant inspection typically ranges from $50 to $150, depending on the size of the property and complexity of the infestation. Some providers may include a basic assessment as part of a service package. Additional charges may apply for extensive or multiple inspections.

Treatment Services - Ant extermination treatments generally cost between $100 and $300 per visit, with prices influenced by the extent of the infestation and treatment method used. Some providers offer comprehensive packages that cover multiple visits for a flat fee. Prices can vary based on the type of ants and property size.

Preventive Measures - Preventive ant control services often range from $150 to $400 annually, depending on property size and the level of ongoing protection desired. These services may include barrier treatments and monitoring to reduce future ant activity. Costs vary based on the scope of prevention measures.

Follow-up Treatments - Follow-up treatments typically cost between $75 and $200 each, depending on the severity of the ant problem and treatment method. Some service providers include follow-up visits in initial packages, while others charge separately. The frequency of follow-ups influences the overall cost.

Actual totals will depend on details like access to the work area, the scope of the project, and the materials selected, so use these as general starting points rather than exact figures.

Get an Ants Extermination Service Quote

Ants Extermination - Local pest control providers offer specialized services to eliminate ant colonies and prevent future infestations in residential and commercial properties.

Ant Trails Removal - Pros can identify and remove ant trails, reducing the likelihood of reinfestation and improving overall pest control effectiveness.

Kitchen Ant Control - Experts focus on treating kitchen areas where ants are commonly found, helping to eliminate food sources and entry points.

Outdoor Ant Barrier Treatments - Service providers apply treatments around the exterior of properties to create a barrier against ant invasions.

Carpenter Ant Inspection - Local professionals conduct inspections to identify carpenter ant activity and recommend appropriate treatment options.

Ant Infestation Prevention - Pest control specialists advise on and implement measures to prevent future ant invasions in homes and businesses.

Ants Extermination Service

When evaluating ant extermination services, experience is an important factor to consider. Local pros typically have varying levels of familiarity with the specific ant species common in Anna, TX, and surrounding areas. Reviewing the background and years of service of each provider can help identify those with a proven track record in handling ant infestations effectively. It’s also beneficial to seek out reputable references or reviews from previous clients to gain insight into their success rates and professionalism.

Clear communication and well-defined expectations are essential when working with a pest control provider. Homeowners should look for professionals who provide detailed information about their treatment methods, what the process involves, and any necessary preparations. Establishing open lines of communication ensures that questions are addressed promptly and that the homeowner understands what to expect throughout the service.

Reputable local pros often have established references or testimonials that can be verified to confirm their reliability and quality of work. It’s advisable to inquire about these references and to seek feedback from past clients regarding their experiences. Additionally, a provider’s ability to communicate effectively and transparently can reflect their commitment to customer satisfaction and professionalism, helping homeowners make informed decisions when selecting an ant extermination service provider.

Get an Ants Extermination Service Quote

Property owners in Anna, TX use Ants Extermination Service services for practical projects around their homes and businesses. The sections below highlight everyday jobs and straightforward project options.

Ants Extermination Service
Ants Extermination Service

Ants extermination services are commonly sought after by property owners in Anna, TX, facing persistent ant infestations in residential or commercial spaces. Ants can invade kitchens, bathrooms, and other areas, disrupting daily routines and causing concern about hygiene and property damage. Local service providers are often contacted to assess the extent of the problem and implement targeted treatment solutions to eliminate colonies and prevent future invasions.

Homeowners and business owners in Anna may also seek ant extermination when noticing increased ant activity around their property, especially during warmer months. Factors such as nearby landscaping, food sources, or moisture issues can attract ants, prompting property owners to consult with local professionals for effective control measures. These experts can help identify entry points and recommend ongoing prevention strategies to maintain a pest-free environment.

Get an Ants Extermination Service Quote

How do ant extermination services work? Ant extermination services typically involve inspecting the property to identify ant colonies, applying targeted treatments to eliminate ants and their nests, and providing recommendations to prevent future infestations.

Are ant extermination treatments safe for pets and children? Many local pros use treatments designed to be safe around pets and children, but it’s advisable to discuss any concerns directly with the service provider before treatment.

How long does an ant extermination treatment usually last? The effectiveness and duration of ant extermination treatments can vary depending on the severity of the infestation and the methods used; a local professional can provide specific guidance.

Can ant extermination services prevent future infestations? Yes, many service providers offer follow-up advice and treatments to help prevent ants from returning to the treated areas.

What types of ants can be eliminated with extermination services? Local pros can typically address common household ants such as odorous house ants, carpenter ants, and pavement ants, among others.

Ants Extermination Solutions - Local service providers offer targeted treatments to eliminate ant infestations and prevent future issues.

Inspection and Identification - Pros can assess property conditions to identify ant entry points and nesting sites for effective removal strategies.

Customized Treatment Plans - Service providers develop tailored approaches based on the severity of the ant problem and specific property needs.

Ongoing Monitoring and Prevention - Local experts can implement ongoing solutions to help maintain a pest-free environment over time.

Ants Extermination Service

Considering Ants Extermination Service for a property in Anna, TX? The sections above highlight common project types, practical options, and details that often shape the scope of work.

When you are ready, use the quote form to share a few details about your project. Local pros can review the basics and respond with options that match what you have in mind.

Get an Ants Extermination Service Quote

Ants Extermination Quotes

Our Trusted Partners
Cantu Pest Control
Orkin
Hawx Pest Control