Local Service Overview

Get Ants Extermination Service in Aubrey, TX

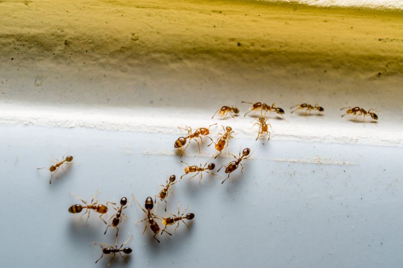
Ants extermination services for property owners in Aubrey, TX, and nearby areas address ant infestations, prevent future invasions, and handle residential and commercial pest control projects.

Aubrey, TX

Ants extermination services are essential for property owners in Aubrey, TX seeking to maintain a comfortable and safe living environment. Effective removal helps prevent infestations that can compromise the functionality of a home or business, reducing the risk of structural damage and contamination. By addressing ant problems promptly, property owners can enjoy a more durable and reliable space that requires less ongoing maintenance, supporting long-term property value and usability.

Additionally, professional ant extermination can enhance curb appeal by eliminating unsightly trails and nests that diminish a property's appearance. This service contributes to a cleaner, more inviting exterior, which can be especially important for homes and commercial properties aiming to make a positive impression. Overall, investing in ant control offers practical benefits that support safety, comfort, and the overall integrity of properties in the Aubrey area.

Get Ants Extermination Service Quotes

  • Ants Extermination - individuals experiencing persistent ant infestations in residential or commercial properties can benefit from professional extermination services.
  • Ants Extermination - property owners dealing with ant colonies in kitchens, basements, or outdoor areas may seek expert pest control solutions.
  • Ants Extermination - those noticing ant trails or unusual ant activity around their Aubrey, TX property may need targeted treatment from local specialists.
  • Ants Extermination - residents facing recurring ant problems despite previous attempts might consider professional interventions to eliminate the infestation.
  • Ants Extermination - businesses requiring pest management to maintain a pest-free environment and comply with health standards can contact local service providers.

Get Ants Extermination Service Quotes

Ants Extermination Service
Ants Extermination Service
Ants Extermination Service

Ants extermination services involve identifying and eliminating ant infestations within residential, commercial, or industrial properties. Professional pest control providers typically conduct thorough inspections to determine the extent of the ant problem and locate the source of the infestation. Treatment options may include targeted application of insecticides, baiting systems, and barrier treatments designed to effectively reduce or eliminate ant colonies. These services aim to address both visible ant activity and hidden nests to prevent ongoing issues.

Ant infestations can lead to various problems, including property damage, contamination of food supplies, and general discomfort for occupants. Certain species of ants, such as carpenter ants, are known to cause structural damage by hollowing out wood. Additionally, ants can become a nuisance by invading kitchens, pantries, and other areas where food is stored. Professional extermination services help mitigate these issues by removing the pests and implementing preventative measures to reduce the likelihood of future infestations.

Properties that commonly utilize ants extermination services include single-family homes, apartment complexes, restaurants, and retail stores. Residential properties often seek pest control to protect food storage areas and maintain a hygienic living environment. Commercial establishments, especially those involved in food preparation or handling, prioritize pest management to comply with health regulations and avoid disruptions. Additionally, property managers and business owners often engage pest control providers to maintain a pest-free environment for tenants and customers.

Engaging with local pest control providers ensures that properties receive tailored solutions suited to their specific needs. These professionals use a combination of inspection, treatment, and prevention strategies to address ant problems effectively. Regular maintenance or follow-up treatments may be recommended to sustain pest-free conditions. Contacting a local expert can help property owners and managers find effective, safe, and reliable ant extermination services to protect their spaces from persistent pest issues.

The overview below groups typical Ants Extermination Service projects into broad ranges so you can see how smaller, mid-sized, and larger jobs often compare in Aubrey, TX.

In many markets, a large share of routine jobs stays in the lower and middle ranges, while only a smaller percentage of projects moves into the highest bands when the work is more complex or site conditions are harder than average.

Initial Inspection - The cost for an ant inspection typically ranges from $50 to $150, depending on the property size and complexity. Some providers may charge a flat fee or include it with treatment services.

One-Time Treatment - A single ant extermination service usually costs between $150 and $300. Larger infestations or commercial properties might see prices upward of $350.

Ongoing Pest Control - Monthly or quarterly ant control plans generally range from $40 to $80 per visit, with annual contracts costing between $480 and $960.

Specialized Treatments - Eco-friendly or bait-based treatments can vary from $100 to $250 per application, depending on the extent of the ant problem and treatment method used.

Actual totals will depend on details like access to the work area, the scope of the project, and the materials selected, so use these as general starting points rather than exact figures.

Get an Ants Extermination Service Quote

Ants Extermination - Local pest control providers offer targeted treatments to eliminate ant colonies and prevent future infestations in residential and commercial properties.

Ants Prevention - Service providers can assess property conditions and implement strategies to reduce attractants, helping to keep ants from returning.

Ants Inspection - Professionals conduct thorough inspections to identify ant activity, nesting sites, and entry points to develop effective treatment plans.

Ants Barrier Treatments - Local pros apply barrier sprays around structures to create a protective zone that deters ants from entering the premises.

Ants Baiting Services - Experts set up bait stations to target ants at their source, effectively reducing colony sizes over time.

Ants Removal Consultation - Service providers offer consultations to discuss ant issues and recommend appropriate extermination solutions for property owners.

Ants Extermination Service

When comparing ant extermination services in Aubrey, TX, it is important to consider the experience of local contractors. A seasoned professional typically has a history of handling various ant infestations, which can contribute to more effective and efficient solutions. Homeowners may want to inquire about the length of time a provider has been operating in the area and their familiarity with common local ant species. This background can help ensure that the selected service provider understands the unique challenges posed by the local environment.

Clear and written expectations are essential when evaluating ant extermination services. Reputable local providers often outline their treatment methods, the scope of work, and any necessary follow-up procedures in written form. Having detailed documentation helps homeowners understand what to expect from the service and can serve as a reference for future needs. It is advisable to review these expectations carefully and ask for clarification if any part of the process is unclear, ensuring transparency and alignment before work begins.

Reputation and communication are key factors in choosing a local ant extermination provider. Homeowners should seek out references or reviews from previous clients in the area to gauge the quality of service and reliability. Additionally, effective communication throughout the process-such as responsiveness to questions and clarity about procedures-can contribute to a smoother experience. Since the information below connects users with local pros, it is recommended to contact multiple providers to compare their reputation and communication style before making a decision.

Get an Ants Extermination Service Quote

Property owners in Aubrey, TX use Ants Extermination Service services for practical projects around their homes and businesses. The sections below highlight everyday jobs and straightforward project options.

Ants Extermination Service
Ants Extermination Service

Ants extermination services are commonly sought after by property owners in Aubrey, TX, when ants become a persistent nuisance inside or around their homes. Common situations include noticing ant trails in the kitchen, pantry, or along baseboards, especially during warmer months when ant activity tends to increase. Property owners may also seek professional help after attempting DIY methods that do not fully eliminate the problem or when ants invade outdoor living spaces, such as patios or gardens, disrupting outdoor enjoyment.

In addition to immediate infestations, property owners often look for ants extermination services to prevent future issues. This can involve identifying and treating entry points around the property, applying barrier treatments, or implementing ongoing prevention strategies. Whether dealing with sugar ants, fire ants, or other common species in the area, residents may contact local service providers to help maintain a pest-free environment and protect their property from ongoing ant activity.

Get an Ants Extermination Service Quote

How do ant extermination services work? Ant extermination services typically involve inspecting the property to identify ant colonies, applying targeted treatments to eliminate ants, and providing advice on preventing future infestations.

How long does an ant extermination treatment last? The duration of effectiveness varies depending on the treatment method and extent of the infestation; local service providers can advise on maintenance and follow-up options.

Are ant extermination services safe for pets and children? Professional ant extermination services use treatments designed to minimize risks to pets and children, but it's recommended to follow any specific safety instructions provided by the service provider.

How can I prevent ants from returning after treatment? Preventative tips include sealing entry points, maintaining cleanliness, and removing food sources; local pros can offer tailored advice for ongoing prevention.

What types of ants can be treated with extermination services? Most common household ants, such as sugar ants, carpenter ants, and fire ants, can be effectively treated by local pest control providers.

Ants Extermination Solutions - Local service providers offer targeted treatments to eliminate ant infestations and prevent future outbreaks.

Inspection and Identification - Pros can assess property conditions to identify ant entry points and nesting areas for effective removal strategies.

Preventive Treatments - Professionals apply barrier methods and ongoing treatments to help keep ants from returning to residential or commercial spaces.

Customized Pest Control Plans - Service providers develop tailored strategies based on the specific ant species and property layout for optimal results.

Ants Extermination Service

Considering Ants Extermination Service for a property in Aubrey, TX? The sections above highlight common project types, practical options, and details that often shape the scope of work.

When you are ready, use the quote form to share a few details about your project. Local pros can review the basics and respond with options that match what you have in mind.

Get an Ants Extermination Service Quote

Ants Extermination Quotes

Our Trusted Partners
Cantu Pest Control
Orkin
Hawx Pest Control